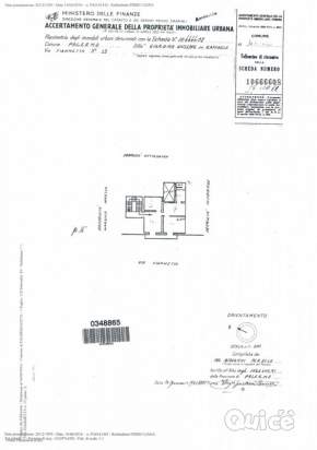
Descrizione
In zona Borgo Vecchio, precisamente in Via Fiammetta, dietro hotel Ibis di Via F. sco Crispi, proponiamo la vendita di un trilocale posto al piano secondo e composto da: ingresso su soggiorno, due camere, cucina, servizio. L'immobile si presenta totalmente da ristrutturare.
La zona servita da numerosi locali commerciali di tutti i generi e mezzi pubblici che consentono facili spostamenti in tutta la città.
L'immobile è visionabile tutti i giorni previo appuntamento.
RIF: 14/05 APE G --- annuncio pubblicato con GESTIONALEIMMOBILIARE.it
Dettagli
- Inserito:
- 17 mar 18:14
- Inserzionista:
- azienda/associazione
- Tipo annuncio:
- vendo
- Tipo merce:
- usato
- Categoria:
- Casa e Terreni
- Comune:
- Palermo (PA)
- Superficie:
- 60
- Locali:
- 3
- Bagni:
- 1
- Classe Energetica:
- G
